(CNN) — For the second time in one week, a powerful typhoon is churning in the direction of the Korean Peninsula. Typhoon Maysak (pronounced My-Suk) follows on the heels of Typhoon Bavi, which battered western North Korea last Thursday as a Category 1 equivalent system.

If it makes landfall in the Korean Peninsula, it would be the fourth named storm to do so this year.

That would tie the record number of landfalls of a named storm on the peninsula in a year, tweets meteorologist Sayaka Mori.

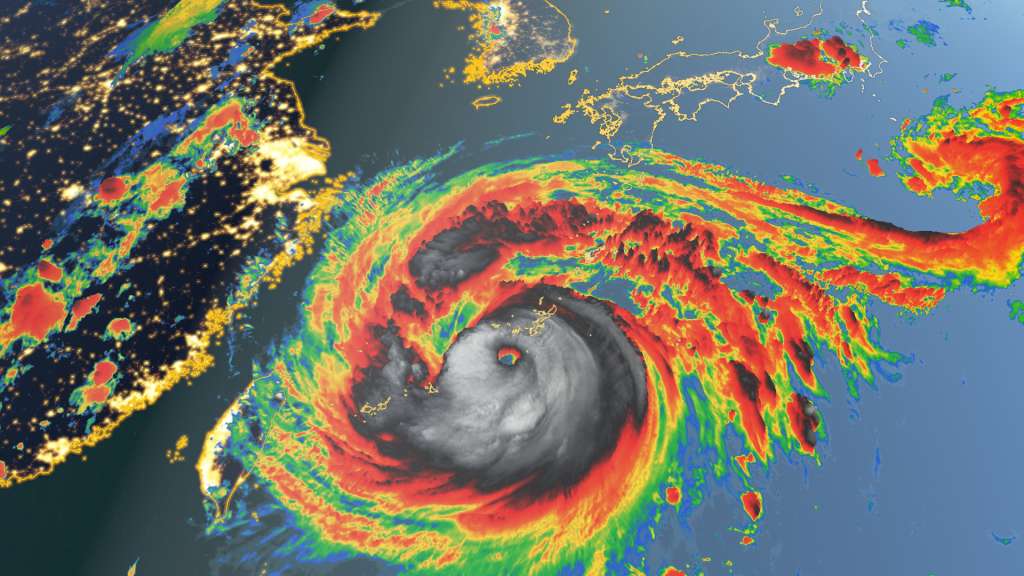
Unfortunately for parts of Japan and South Korea, Typhoon Maysak is a significantly stronger system than Bavi was. And further strengthening is expected before its initial landfall on Tuesday morning.

Maysak is forecast to strengthen to a potential Category 4 equivalent hurricane, with winds of 220 kph as it barrels across Japan’s Ryukyu Islands.

The system will be dangerously close to the city of Okinawa by early Tuesday and has already prompted significant air travel disruptions in the region.

According to FlightAware, over 100 flights, or nearly 40% of air traffic, has been halted at Okinawa’s Naha (OKA) airport. This accounts for the most disruptions to any single airport worldwide as of Monday afternoon local time. The trickle-down effect was felt at Tokyo’s Handea airport (HND) as about 90 scheduled flights, or 10% of its departures, were canceled as well.

Maysak, a name of Cambodian origin for a type of tree, is forecast to weaken only slightly as it nears a second landfall west of Busan, South Korea, sometime late Wednesday afternoon.

Winds are forecast to be near 200 kph (124 mph), strong enough to designate it a major Category 3 hurricane if it were in the Atlantic Ocean.

The threat of dangerous storm surge and landslides in the Korean Peninsula’s elevated terrain is a significant concern.

After all, the region is currently experiencing one of its wettest monsoons on record. Several bouts of historic rains have soaked the landscape since June.

Long-range forecast computer models suggest another potentially powerful typhoon could impact the region late this weekend or early next week.

The-CNN-Wire
™ & © 2020 Cable News Network, Inc., a WarnerMedia Company. All rights reserved.

Join our Newsletter for the latest news right to your inbox